Category: Roaches
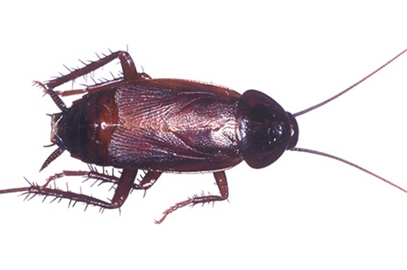
Oriental Cockroach
Blatta Orientalis
Details
Size
Length: <1"
Width: 1/2"
Color Black / Red
DIVERSITY Sole Species
Summary
The oriental cockroach (also known as: waterbug and Blatta orientalis) is a large species of cockroach, measuring about 1 in (2.5 cm) in length at maturity. It is dark brown to black in colour and has a glossy body. The female Oriental cockroach has a somewhat different appearance to the male, appearing to be wingless at casual glance but has two very short and useless wings just below her head. She has a wider body than the male. The male has long wings, which cover a majority of his body and are brown in colour, and has a more narrow body. The odd male is capable of very short flights, ranging about 2 to 3 meters. The female oriental cockroach looks somewhat similar to the Florida woods cockroach, and may be mistaken for it.
Adapatation
In order to thrive, cockroaches need a place to hide. They prefer warm places and a relatively high humidity if possible; they also need a source of food/liquid. The optimum temperature for oriental cockroaches is between 20 °C (68 °F) to 29 °C (84 °F). Female oriental cockroaches have vestigial tegmina (reduced forewings) and males have longer tegmina. Cockroaches are mainly nocturnal. Oriental cockroaches can be elusive in that a casual inspection of an infested dwelling during the day may show no signs of roach activity.
Causes Property
Damage
Inhabit Nearby
Foliage


































































